锅炉作为工业生产中最常用的能量转换设备之一,有多种分类方式。其中,按照锅炉使用的燃料可分为燃煤锅炉、燃气锅炉、燃油锅炉、生物质锅炉、电加热锅炉。无论哪种形式的锅炉,原理都是通过转化燃料中的化学能或利用电能转化为热能,把水加热至沸腾产生蒸汽,既可使用热水和蒸汽做热交换供暖,又可以利用蒸汽推动汽轮机做工发电。锅炉已经成为人们广为依赖的采暖工具和动力来源。到能量转换,自然离不开锅炉的温度测量,温度是锅炉最重要的几个参数之一。本文通过介绍循环流化床锅炉的各个组成部件,探讨锅炉测温热电偶和热电阻设计选型和影响其可靠性的因素。
工业时代以来,随着大型机械的出现和广泛应用,人们对电力的要求越来越高。目前,我国电力能源结构大致分为火电、水电、风电、太阳能发电以及核电。各个能源的装机量大致如下:火电装机量占比56.6%,水电的装机量占比16.8%,风电装机量12.8%,太阳能装机量11.5%,核电装机量2.3%。根据国家统计局数据统计,2021年1~12月全国发电量为81121.8亿千瓦时,累计增长8.1%。其中,火力发电量为57702.7亿千瓦时,占全国发电量比重约为71.13%,火电的占比无论是装机量还是发电量均领先。这说明目前以及未来一段时间的电力能源来源主要火电,特别是煤炭发电。
锅炉作为工业生产中最常用的能量转换设备之一,是火力发电厂的重要组成部分,在人类的生产、生活中发挥着重大作用。从不同的角度锅炉分成多种形式:
①按照锅炉容量分为:蒸发量<20t/h的称为小型锅炉,蒸发量>75t/h的称为大型锅炉,蒸发量介于两者之间的称为中型锅炉。
②按照锅炉使用的燃料分为:燃煤锅炉(这种锅炉出现相对来说较早,主要以燃煤作为燃料,比如:链条炉和循环流化床锅炉),燃气锅炉(在国家提倡环境保护的情况下,燃气锅炉以环保为主),燃油锅炉(主要以轻油、重油等油类为主作为燃料),生物质锅炉(主要以农作物废弃物为燃料,例如花生壳、玉米芯、玉米杆等),电加热锅炉(主要以电能为燃料)。
③按照锅炉内的蒸汽压力分为:低压锅炉(出口的蒸汽压力≤2.5MPa的锅炉),中压锅炉(出口蒸汽压力在2.94~4.90MPa之间的锅炉),次高压锅炉(出口蒸汽压力在中压锅炉与高压锅炉之间的锅炉),高压锅炉(出口蒸汽压力高于5.88MPa,低于9.81MPa的锅炉);除此之外还有超高压锅炉、压临界压力锅炉以及超压临界锅炉。
本文主要探讨循环流化床锅炉的结构和工艺流程。
1、循环流化床锅炉的结构和原理
1.1 循环流化床锅炉的构成循环流化床锅炉由锅炉本体及辅助设备组成:锅炉本体如图1所示,主要包括风室、炉膛、旋风分离器、回料阀、以及锅筒、省煤器、空气预热器等。

图1 循环流化床锅炉结构图
1.2 循环流化床锅炉的结构特点
流化床锅炉最为主要的结构特点是物料循环系统,由布风装置、燃烧室、气固分离器、回料装置、点火装置等设备组成。燃烧室、分离器及回料装置被称为循环流化床锅炉的三大核心部件,构成了循环流化床锅炉的颗粒循环回路,是其结构上区别于其它锅炉的明显特征,是循环流化床锅炉的特有系统。
1.3 循环流化床锅炉的工作原理燃料经破碎机破碎至合适的粒度后,经给煤机从燃烧室布风板上部给入,与燃烧室炽热的沸腾物料混合,被迅速加热。燃料迅速着火燃烧,在较高气流速度的作用下,充满炉膛,并有大量的固体颗粒被携带出燃烧室,经气固分离器分离,分离下来的物料通过物料回送装置重新返回炉膛继续参与燃烧。分离器导出的高温烟气,在尾部烟道与对流受热面换热后,通过除尘器由烟囱排出。
以上所述的煤、风、烟系统称为锅炉的燃烧系统,即一般说的“炉”。
另一方面,锅炉给水经水泵送入省煤器预热,再进入汽包,然后进入下降管、水冷壁,被加热并蒸发后又回到汽包。汽水分离后蒸汽进入过热器升温通过主蒸汽管道送到用户处。
上述为汽水系统,即一般说的“锅”。
总的来说,“炉”的任务是尽可能组织高效的放热,“锅”的任务是尽量把炉的热量有效地吸收;“锅”和“炉”组成了一个完整的能量转换和蒸汽产生过程。
2、循环流化床温度测点布置及选型
2.1 循环流化床锅炉温度测点布置锅炉通过加热实现能量转换,因此锅炉温度的稳定是锅炉性能的一项重要指标。温度过高和温度过低都会给锅炉的稳定运行和生产造成重大影响,甚至发生安全事故。温度过高,导致锅炉金属材料和相关部件的超温过热,加速管材金属氧化,降低锅炉和相关部件的使用寿命:温度过低,假定在保持锅炉蒸发量不变的情况下,锅炉的损耗将大幅上升,能源利用率因下降,负荷也将受到限制。所以,限定锅炉在安全温度成为每一个温度控制系统的核心部分。
以连云港某化工厂投产额定蒸发量130t/h、最大蒸发量150t/h锅炉为例,通过与热工专业工程师探讨,选取代表性的循环流化床锅炉测温点大致如下:
2.1.1 风系统
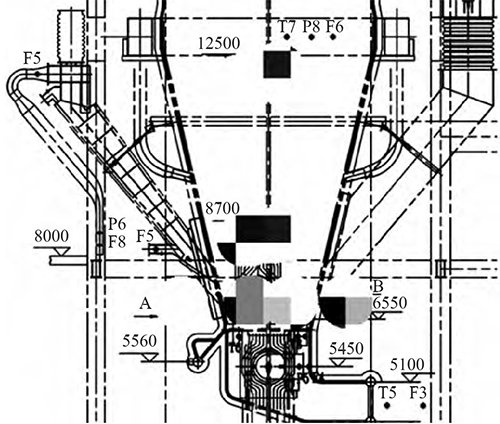
炉膛区域测点布置如图2所示。
T5:风室入口空气温度测点,数量2,温度158℃。
T6:风室空气(烟气)温度测点,数量4,运行时温度158℃,点火时温度900℃。
T7:二次风管入口空气温度测点,数量2,温度165℃。

图2 炉膛风系统温度测点图
一次风主要是供风室,通过布风板风帽进入炉膛,流化床料;同时供启动时点火风,播煤风。播煤风又分为3路到3台给煤装置。
2.1.2 烟气系统
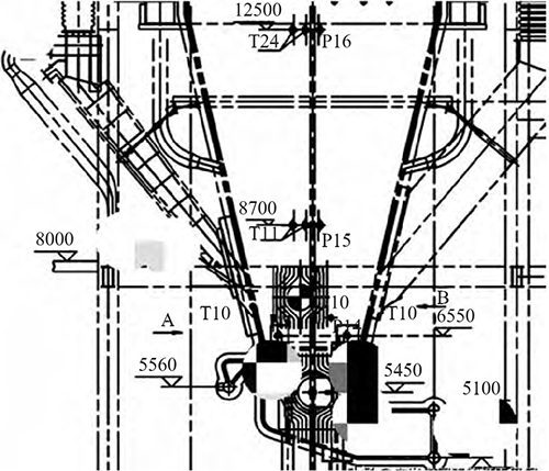
炉膛温度测点布置如图3所示。

图3 炉膛烟气系统温度测点图
T10:床温测点(沿炉膛四周布置),数量8,温度892℃。
T11:炉膛温度测点(燃烧-布风板上密相区),数量4,温度885℃。
T12:炉膛温度测点(炉膛出口),数量2,温度888℃。
T24:炉膛温度测量(炉膛下部),数量4,温度895℃。
省煤器烟道测点布置如图4所示。

图4 省煤器烟道侧点布置
T16:上级省煤器入口烟气温度测量,数量2,温度576℃。
T17:上级省煤器出口烟气温度测量,数量2,温度374℃。
T18:下级省煤器入口烟气温度测量,数量2,温度374℃。
T19:下级省煤器出口烟气温度测量,数量2,温度232℃。
2.1.3 汽水系统
锅筒温度测点布置为:
T23:锅筒壁温测点,数量8,温度319℃。
为防止锅筒承受过大的热应力,应控制锅筒上、下壁温差不得超过50℃。
2.2 测温热电偶和热电阻的选型
测温热电偶和热电阻的选型以HG/T20507-2014《自动化仪表选型设计规范》为依据,根据规范可知,集中检测用温度仪表主要包括热电阻和热电偶,温度测量范围为如下表所示。

测点温度<450℃的选用热电阻,450℃≤测点温度≤1000℃一般选用经济实惠的K型铠装热电偶。炉膛内有高温高速的炉灰炉渣,所以温度仪表应配备保护套管。根据规定,在设备、衬里管道、非金属管道安装的套管需要采用法兰连接方式。套管一般使用310S材料制作,以保障热电偶的使用寿命。锅炉炉筒的表层温度测量常用一片式温度传感器装置,一片式探头的直径D=8mm,贴片高度是H=12mm,其他的远传温度传感器的选型,一般是铠装用螺纹的形式在外面固定。
热电偶插入深度应根据工艺要求设计,插入的深度不同,会对测量的精确度、使用的寿命造成影响。由于锅炉本身的不同结构部位,比如,内壁和保护层的宽厚度不一样,温度装置仪表进入的深度必须依照锅炉保护层的宽厚度和工作时的实际情况确定。例如炉膛:锅炉的内壁厚度一般是60mm,保温材质厚度是80mm,保护锅炉的内壁版厚度是80mm,则保护套管需要延伸外部240mm。为了得到准确的测量温度,并且使温度装置仪表的使用寿命增加,伸入锅护内壁100mm是最合适的,因此最后热电偶需要深入炉墙表面560mm。与其他炉型的温度测点相比,循环流化床锅炉的密相区颗粒浓度很大且磨损特别严重,要求床温测点热电偶应装在具有耐高温和耐磨损的套管内,耐磨的套管伸出耐火材料壁大约50mm。
根据以上结论,T5、T7、T17、T18、T19选用带套管的热电阻测量;T6、T10、T11、T12、T24应选用带套管的热电偶测量,T16工作温度由于接近热电阻上限值,考虑最高温度因素,宜选用热电偶测量。T23锅筒温度选用一片式温度传感器测量。
3、循环流化床锅炉温度仪表可靠性分析
影响循环流化床锅炉温度仪表的可靠性因素来自两方面:一是温度检测仪表的本身因素,二是温度检测仪表的安装。
3.1 测温仪表因素
3.1.1 热电偶和热电阻的选择
锅炉测温中有很多工况温度在热电阻和热电偶的交界范围内,这种情况需要对热电阻和热电偶比较进行选型。根据研究,热电偶适用于高温测量,但其温漂较大。热电阻由高纯度的铂金制成,精度高,稳定性好,温漂小。在正常使用范围内,热电阻的精度是热电偶的2倍,且寿命长于热电偶。热电阻有良好的响应速度,但不适于高温测量。其传感元件与引线的焊接是脆弱环节,需要用高精度的焊接设备做成冗余式的焊接点。对于精度要求不高的高温测量一般选用热电偶,在抗震动、可靠性方面,热电阻有其优越性。
3.1.2 热电阻线制的选择
过去,常用的热电阻测量是三线制的。这种制式由于端子腐蚀、接线不紧,可能导致电路上的不平衡,从而引起误差。而四线制热电阻则可有效地消除因导线电阻变化而引起的误差,它使用一个阻抗极高的电压表,电压测量回路中的电流几乎为零,引线电阻对感应元件的影响降到最低程度,可以精确地测得热电阻上的电压,使电压值与热电阻上被测温度成线性。可见,四线制热电阻的隔离性及稳定性要优于三线制热电阻。
3.1.3 温度计保护管的应用
在一般流速和振动不太大尤其空间比较狭窄的场合,将铠装热电阻或热电偶直接插入管道或设备,传感器与过程流体充分接触,响应速度快。对于连续生产的工艺过程,为了在拆装更换温度计时不停产,则需在铠装测温体外再配以保护管。大部分热电阻、热电偶的顶端离保护套管的底端有将近10mm的距离,温度响应的时间延长。现在,热套式热电阻/热套式热电偶的传感器的顶部紧贴保护套管的底部,大大降低了响应时间。在套管中充导热油也能达到响应效果。选择保护管时,除了适用温度,还要考虑耐压、防腐蚀、抗磨损及避免共振等诸因素,应进行必要的计算,确保可靠工作。

3.2 测温仪表的安装因素
通常,所用温度计是带有套管的热电阻或者热电偶,锅炉施工过程经常出现施工人员攀爬炉墙或者从锅炉上方高空坠物的情况,在安装时注意将其设置于便于检修且不会受到外部环境影响或是相应机械损伤的位置,对焊接在管道或是钢制管接头进行螺纹连接。并且在安装相应的测温设备时,要注意测温的热电偶或热电阻安装在炉内介质温度变化灵敏且具有典型性的位置,防止安装在相应的管道或设备死角处。同时测温仪表插座的材质应与主管道保特一致,热电偶自由端温度的变化对测量结果影响大,必须经常校正或保特自由端温度的恒定。
4、结束语
温度检测是维持循环流化床锅炉安全平稳运行的重要指标。根据不同位置的实际情况,选择不同类型的热电偶或热电阻并结合DCS系统进行PID调节,比如炉床温度,控制好床温是流化床保障安全运行和促进流化床高效运行的关键前提。锅炉运行实际会产生多种影响因素,导致温度控制效果不理想,必须在试运行中,配合锅炉的压力及锅筒液位等其他参数,结合经验,才能使循环流化床锅炉达到一个平稳合理的运行状态。
作者:(吉林省石油化工设计研究院)涂冲
